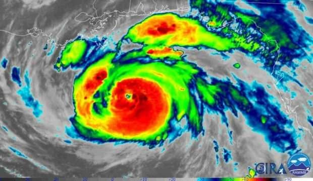
ABD Ulusal Kasırga Merkezi, Ida Kasırgası’nın hızını artırdığını açıkladı. Yetkililer Mississippi Nehri yakınlarında tespit edilen Ida Kasırgası’nın hızını saatte 215 kilometreye çıktığını duyurdu.
Mississippi Nehri’nin 160 kilometre güneyinde tespit edilen kasırga ile ilgili açıklama yapan ABD Ulusal Kasırga Merkezi, “Hızını artırdı ve dördüncü kategoriye ulaştı” duyurusunu yaptı.
Saffir-Simpson ölçeğine göre kasırgalar beş farklı kategoriye göre değerlendiriliyor. En kuvvetli kasırga 5’inci kategoride yer alırken, en hafif kasırga ise 1’inci seviyede yer alıyor.
Yapılan açıklamada bugün bölgede çok şiddetli yağış ve sel uyarısı yapılırken, Louisiana’nın sahil bölgelerinin sular altında kalabileceği belirtildi. Halihazırda Kovid-19 sebebiyle zor günler geçiren bölge hastanelerinde de alarm yapıldı.

'EN SERT KASIRGA OLABİLİR'
Louisiana’nın güneyine geçen yıl Laura Kasırgası’nın vurduğunu hatırlatan yetkililer eyaletin en yüksek üçüncü Kovid-19 vakalarına ev sahipliği yaptığını hatırlattı. Louisiana Valisi John Bel Edwards, “Kasırganın hızını artırması bekleniyor. Bu kasırga, 1850’lerden beri eyaleti vuran en sert kasırga olabilir” dedi.
Kasırgaların yaygın olduğu Louisiana’yı 16 yıl önce Katrina Kasırgası vurmuştu. Katrina Kasırgası’nda 1800’den fazla insan yaşamını yitirmişti.




